news supercharger biggest world

The World’s New Largest Supercharger Station Set to Electrify Yeehaw Junction, Florida

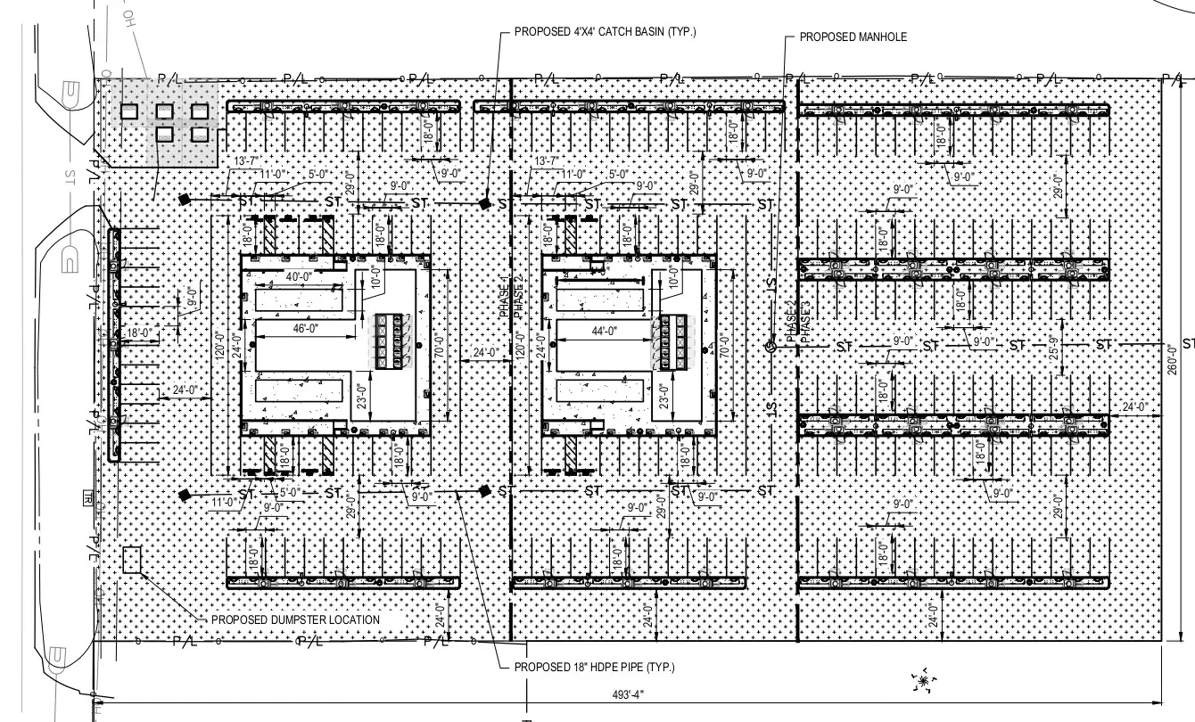
The electromobility landscape is poised for a monumental leap forward with the upcoming construction of the world’s largest Supercharger station in Yeehaw Junction, Florida. This move signals a soaring ambition to facilitate electric vehicle (EV) travel over long distances.

Development of this supercharger

Tesla has recently filed plans for a “Mega Site” at Exit 193 of the Florida Turnpike, which will include 200 charging stalls. The site promises to be a nexus for EV travel, featuring 160 PSU stalls and 40 standalone stalls, with 8 tailored for trailers.

Rumors and Potential about this station

Buzz is already building around the cutting-edge capabilities of this site. Speculation suggests that the energy infrastructure will be top-of-the-line, with systems capable of handling high energy demand and reducing wait times. This could represent significant advances in charging efficiency and speed, foreshadowing the future of charging stations.

The launch of the Yeehaw Junction Supercharger station will undoubtedly mark a historical moment for Tesla and for electromobility at large. It’s a pledge for greener, more flexible mobility, and a stride towards a truly global charging network.

Join Tesla Mag to access exclusive content, attend member-only events, and connect with enthusiasts worldwide. Don’t miss this unique opportunity to be part of the electric revolution!

Leave a Reply

Your email address will not be published. Required fields are marked *